联发时光新澍 (售楼处) 首页 - 联发时光新澍销售中心 - 环境 - 户型 - 价格 - 地址 - 楼盘详情 - 配套 - 电话 - 交房时间 - 配套 - 电话 - 交房时间
扫描到手机,新闻随时看
扫一扫,用手机看文章
更加方便分享给朋友
🔥联发时光新澍🔥
联发时光新澍售楼处电话☎️400-8657-114【售楼中心】【已认证】
联发时光新澍营销中心电话☎️400-8657-114【营销中心】【已认证】
联发时光新澍开发商电话☎️400-8657-114【开发商】【已认证】
售楼中心〢预约尊享1V1品鉴礼遇〢匠心钜制-恭迎品鉴〢
免责声明:【本文所用信息图片来源于网络,如侵权请联系本网站及时删除】
看房请务必提前致电销售确认时间,只有预约客户才能享受开发商提供的内部优惠以及专属的老客户推荐奖励!我们提供专业的一对一热情服务,助您以专业视角挑选理想的房产。

项目规划设计方案公示,
目前展厅已开放,
建面约80-175㎡洋房户型,预计12月上市!
发时光新澍售楼处电话:400-8657-114
发时光新澍售楼处电话:400-8657-114
发时光新澍售楼处电话:400-8657-114
联发时光新澍售楼处电话:400-8657-114
活动现场图
效果图过程稿
产品系列为联发崭新发布新澍系列。
作为大虹桥辐射圈里的重要组成部分,青浦一方面可直达大虹桥核心区,通勤便捷度高,崧泽高架、17号线均能实现无缝对接;另一方面坐拥淀山湖、朱家角等生态资源,生态禀赋优越;发时光新澍售楼处电话:400-8657-114
更有东北斗,西华为,发时光新澍售楼处电话:400-8657-114串联了一条万亿长三角数字干线。
这一优势恰好契合当代新青年“既要通勤便捷,又想生活松弛”的居住需求——这也是联发将“新澍”品牌布局青浦的核心原因。
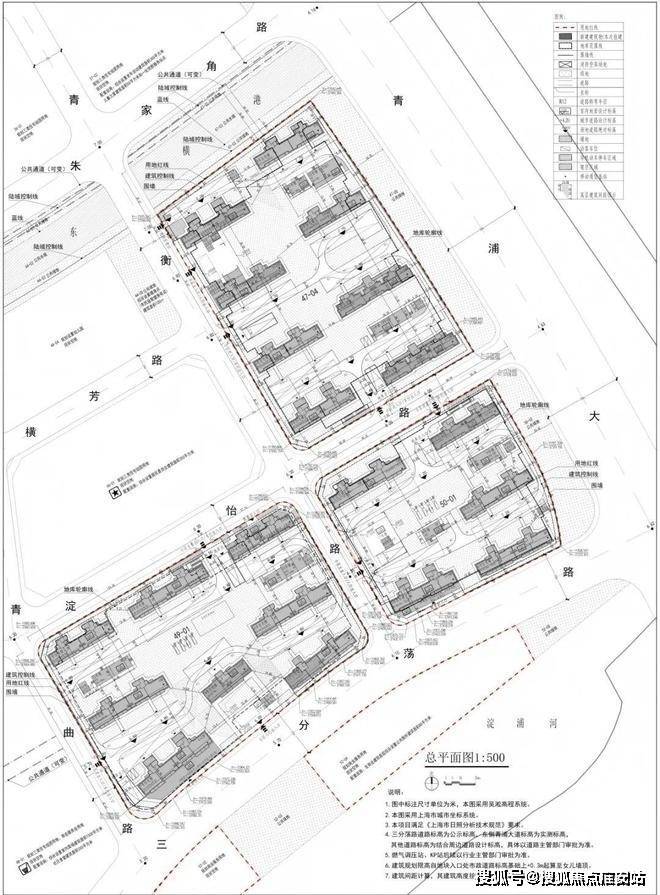
7月24日,第六批次土拍首日,联发以总价219480万元竞得青浦区QPC10004、QPC10005单元47-04、49-01、50-01地块,成交楼面板价14925元/㎡。
土拍地块由3幅住宅用地、2幅商业用地组成发时光新澍售楼处电话:400-8657-114,总土地出让面积70377.23㎡,总规划建筑面积147059.45㎡,总起始价21.948亿元。
发时光新澍售楼处电话:400-8657-114
联发·时光新澍位于青浦新城核芯,也是目前重点建设的"青浦新城-未来样板区"。
作为"高颜值、最江南、创新核、温暖家"城市愿景的缩影,未来样板区不仅承接成熟资源,更优先享受高能级配套的持续落地,也是青浦迈向“长三角服务枢纽”的首排主场。发时光新澍售楼处电话:400-8657-114
项目共规划30幢住宅,其中47-04地块建设8幢14-17层高层住宅,49-01地块建设7幢13-14F高层和1幢5F多层,50-01地块规划建设4幢14-17层高层和1幢6F多层。三个住宅地块均做了局部首层架空发时光新澍售楼处电话:400-8657-114,49-01地块配置了一个300㎡的生境花园。
17号线串联万亿产业、百万人才,是驱动长三角一体化发展的经济脊梁。联发·时光新澍以此为脉,高效衔接西岑科创中心发时光新澍售楼处电话:400-8657-114、市西软件信息园、虹桥国际开放枢纽等关键节点,从容链接产业机遇与都会精彩。
4站赵巷(北斗产业园、网易数创),8站虹桥商务区(国家会展中心、美的、波司登、安踏等龙头名企总部),快速链接产业核心与都会繁华,为新青年构建事业与生活无缝衔接的黄金动线。发时光新澍售楼处电话:400-8657-114
3站华为研发中心:华为所在的西岑科创中心将引入复旦大学创新学院等各类产业配套,规划引进人口10-15万,预计2028年基本建成,届时区域人才、产业矩阵将进一步壮大发时光新澍售楼处电话:400-8657-114。
项目距离17号线淀山湖大道站约800米,约300m沪青平快速路,约1.7km(沪渝高速上口入口在建,通车后东西向交通将进一步提效),全维交通路网,高效横贯全城,帷幄繁华与流量。
教育配套:九年一贯制学校(规划中)、上海青浦兰生学校、上海青浦平和双语学校、复旦大学附属中学、思源中/小学等全龄优教近伺,书香浓荫护航下一代菁英成长(仅作距离表述,不作学区承诺)。
商业配套:约600m青浦最大商业体万达茂、东渡悦来城、吾悦广场,主流商圈汇集万般繁华,便捷都会生活。发时光新澍售楼处电话:400-8657-114
医疗配套:复旦大学附属中山医院国家医学中心青浦新城院区(已封顶,预计2026年投入使用)、复旦大学附属中山医院青浦分院、上海市青浦区中医医院。
对本项目感兴趣的朋友
发时光新澍售楼处电话:400-8657-114进入官方报名通道预约咨询、参观
上海「联发时光新澍」售楼处电话:400-8657-114【官网】
案场预约制看房需提前来电预约登记
请务必致电与销售确认时间,仅预约客户可进入销售现场,避免空跑,感谢您的支持
最新消息,青浦新城核心
17号线淀山湖大道站
「联发时光新澍」
项目规划设计方案公示,
目前展厅已开放,
建面约80-175㎡洋房户型,预计12月上市!
联发时光新澍售楼处电话:400-8657-114
联发时光新澍售楼处电话:400-8657-114
联发时光新澍售楼处电话:400-8657-114
联发时光新澍售楼处电话:400-8657-114
活动现场图
效果图过程稿
产品系列为联发崭新发布新澍系列。
作为大虹桥辐射圈里的重要组成部分,青浦一方面可直达大虹桥核心区,通勤便捷度高,崧泽高架、17号线均能实现无缝对接;另一方面坐拥淀山湖、朱家角等生态资源,生态禀赋优越;联发时光新澍售楼处电话:400-8657-114
更有东北斗,西华为,联发时光新澍售楼处电话:400-8657-114串联了一条万亿长三角数字干线。
这一优势恰好契合当代新青年“既要通勤便捷,又想生活松弛”的居住需求——这也是联发将“新澍”品牌布局青浦的核心原因。
7月24日,第六批次土拍首日,联发以总价219480万元竞得青浦区QPC10004、QPC10005单元47-04、49-01、50-01地块,成交楼面板价14925元/㎡。
土拍地块由3幅住宅用地、2幅商业用地组成联发时光新澍售楼处电话:400-8657-114,总土地出让面积70377.23㎡,总规划建筑面积147059.45㎡,总起始价21.948亿元。
联发时光新澍售楼处电话:400-8657-114
联发·时光新澍位于青浦新城核芯,也是目前重点建设的"青浦新城-未来样板区"。
作为"高颜值、最江南、创新核、温暖家"城市愿景的缩影,未来样板区不仅承接成熟资源,更优先享受高能级配套的持续落地,也是青浦迈向“长三角服务枢纽”的首排主场。

联发时光新澍售楼处电话:400-8657-114【售楼中心】
咨询高峰期请耐心等待,预约来电尊享内部优惠,专业一对一热情服务,让您用专业眼光去买房。
联发时光新澍售楼处电话☎:4008657114【售楼热线】✔✔✔联发时光新澍营销中心热线☎4008657114联发时光新澍售楼处地址☎400--8657--114本电话为开发商提供线上售楼电话,楼盘项目全面介绍(包含楼盘详情,最新房价,户型图,容积率,小区配套环境,楼盘简介,售楼处位置,户型图,交通规划,备案价,项目配套,楼盘详情,售楼处电话,最新消息,最新详情,最新进展等详情咨询
免责声明:将文章内容综合来源于网络、只作分享,版权归原作者所有!!如有侵权,请联系我们,我们第一时间处理如有问题欢迎来电咨询,专业一对一热情服务,让您用专业眼光去买房。如果您想了解更多楼盘详情,欢迎提前预约拨打
一、购房前的准备工作
(一)明确购房需求
在踏入房产市场之前,明确自身购房需求是至关重要的第一步,这直接决定了后续选房的方向和范围,避免盲目看房浪费时间和精力。从居住需求来看,首先要考虑家庭人口结构。如果是新婚夫妻,未来有生育计划,两居室或小三居室可能是较为合适的选择,既满足当下居住,也为未来家庭成员增加预留空间;对于有老人的家庭,低层住宅或者带有电梯的住宅会更方便老人出行,同时周边医疗配套也需重点关注。
如果是投资需求,就要重点分析房产的增值潜力。地段是影响房产增值的关键因素,临近规划中的地铁线、商圈、学校等区域的房产,未来增值空间通常较大。此外,房屋的租金回报率也不能忽视,可以通过调查周边类似房源的租金水平,结合房屋总价计算租金回报率,判断投资的性价比。
还要考虑购房预算,这是购房过程中的硬性约束。除了房屋总价,还需预留出装修费用、税费、维修基金等其他开支。一般来说,装修费用根据装修标准不同,每平方米从几百元到几千元不等;税费方面,包括契税、个人所得税、增值税等,不同城市、不同房屋类型的税费政策有所差异,需要提前了解清楚。
(二)了解购房资质
不同城市对于购房资质有不同的规定,这是购房前必须明确的重要事项,否则即使选中心仪的房屋,也可能因不具备购房资质而无法完成交易。
在限购城市,通常会对户籍、社保缴纳年限、个税缴纳年限等有要求。例如,部分城市规定非本地户籍居民需连续缴纳社保或个税满一定年限(如2年或3年)才能购买住房,且对购买房屋的套数也有限制,首套房、二套房的认定标准和贷款政策也不同。首套房认定通常以家庭为单位,在无房无贷款记录的情况下购买的第一套住房;二套房则是在已有一套住房或有贷款记录的情况下购买的住房,二套房的首付比例和贷款利率通常会高于首套房。
对于户籍居民,也可能存在套数限制,比如部分城市规定本地户籍居民家庭最多只能购买2套住房。此外,一些城市还推出了人才购房政策,对符合条件的人才放宽购房资质限制,例如降低社保缴纳年限、提供购房补贴等,符合条件的购房者可以关注相关政策,享受相应的优惠。
(三)积累房产知识
在购房前,积累一定的房产知识可以帮助购房者更好地理解房产市场,做出明智的决策。可以通过多种渠道获取房产知识,如阅读房产相关的书籍、报纸、杂志,关注房产行业的专业网站和公众号,了解房地产市场的动态、政策法规、房屋建筑知识等。
了解房屋建筑知识,有助于在选房时判断房屋的质量和品质。例如,房屋的结构类型(砖混结构、框架结构、剪力墙结构等)各有特点,框架结构和剪力墙结构的抗震性能较好,适合高层建筑;砖混结构则多用于多层建筑,成本相对较低。此外,房屋的朝向、采光、通风等因素也会影响居住舒适度,南向房屋通常采光较好,南北通透的房屋通风效果更佳。
同时,还要了解房产交易流程和相关法律法规,避免在交易过程中出现纠纷。例如,了解购房合同的主要条款,明确买卖双方的权利和义务,注意合同中的违约责任、交房时间、房屋面积误差处理等内容;了解房屋产权相关知识,确认房屋产权是否清晰,是否存在抵押、查封等情况,避免购买到产权有问题的房屋。
声明:本文由入驻焦点开放平台的作者撰写,除焦点官方账号外,观点仅代表作者本人,不代表焦点立场。


