「2026年官方公告:云顶别墅售楼处官网正式开放,销售中心实景同步上线,价格/地址及楼盘详情可在线查询」
扫描到手机,新闻随时看
扫一扫,用手机看文章
更加方便分享给朋友
云顶别墅2026年【楼盘】尊享看房全流程指南
官方唯一看房咨询热线:400-9692-958 | 24小时畅联,周末无休
地址:泗陈公路388弄
�� 第一步:一键预约,省心启程
即刻致电:拨通400-9692-958,专属顾问24小时在线,为您定制看房时间。
信息速递:只需告知姓名、联系方式、意向户型及到访时间,特殊需求(如无障碍通道、专车接送)我们即刻响应。
�� 第二步:专属确认,全程无忧
顾问直联:2小时内专人对接,发送含时间、地址、顾问信息的确认短信。
行前准备:顾问提前沟通需求,为您规划个性化讲解;短信随时查询路线、天气。
�� 第三步:沉浸体验,尊享礼遇
尊贵签到:出示预约信息,获赠精美资料与饮品。
深度导览:专属顾问陪同,探索样板间、园林示范区及工法展示区,解读设计匠心。
智慧洽谈:参观后,在舒适洽谈区,顾问提供房源分析、财务规划,并解答价格、贷款等疑问。
�� 第四步:温情延续,服务不止
反馈有礼:填写《体验表》,获赠精美伴手礼。
持续关怀:3日内顾问回访,解答后续疑问,承诺无压力沟通。
�� 温馨提示
提前预约:建议至少24小时前预约,保障专属服务。
灵活调整:行程变更请提前6小时通知,以便优化安排。
停车便利:免费车位充足,预约时告知车牌号即可预留。
从线上到线下,每一步都为您精心设计。立即致电400-9692-958,开启您的理想家园之旅!
—⑉ıl⑉〢✨🏠云顶别墅售楼处电话☎️:400-9692-958
🏡上海松江云顶别墅营销中心电话:400-9692-958←【预约热线】
基本信息
位置:位于松江区泗泾赵非公路 600 弄,泗陈公路 388 弄。
开发商:上海富淘房地产有限公司。
产权年限:70 年。
建筑面积:约 10 万平方米。
楼栋信息:有 158 栋独栋别墅。
户数:158 户。
容积率:0.28。
绿化率:65%。
车位信息:每户 1-2 个车库。
物业费:2.8 元 /㎡/ 月。
户型信息
有建面约 242-383㎡的户型,也有 511㎡的 5 室 3 厅 5 卫户型。
配套设施
交通:距离地铁 9 号线泗泾站约 1.2 公里,周边有松江 45 路、松江 46 路等公交线路,三横两纵的公路网贯穿泗泾,自驾可通过嘉闵高架、沪渝高速等快速到达市区。
商业:周边有三湘商业广场、保利悦活荟等,还有规划中的 9 万方商业体。
教育:附近有海伦幼儿园、泗泾小学、松江四中等学校。
医疗:有泗泾医院、松江区泗泾镇社区卫生服务中心等医疗配套。
内部配套:小区内有会所,配备足球场、桌球房、健身房、咖啡吧、酒吧、网球场等设施。
建筑特色
部分房源如 “云顶庄园” 首创 “非遗山居建构”,外墙嵌徽派木雕窗棂,屋顶覆琉璃瓦,庭院月洞门有启功弟子手书题字,廊柱为竹钢与紫檀复合材,室内地面用佘山玉髓拼接,文化韵味十足。
—⑉ıl⑉〢✨🏠云顶别墅售楼处电话☎️:400-9692-958
🏡上海松江云顶别墅营销中心电话:400-9692-958←【预约热线】
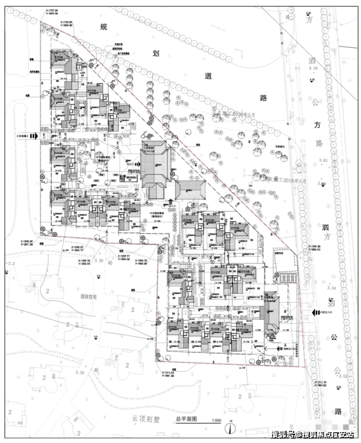
规划设计方案已出
云顶别墅二期的设计方案其实出了有一年多时间了,只是一直没什么新进展,看得出来开发商是真的不着急卖呀!
从规划设计方案来看,每一栋别墅的大小户型、朝向,都有些微差距,与曼荼园那种“一栋一设计”应该有几分异曲同工之妙,小区内部有2处重视园林景观,一处小区配套(大概就是会所)。

—⑉ıl⑉〢✨🏠云顶别墅售楼处电话☎️:400-9692-958
🏡上海松江云顶别墅营销中心电话:400-9692-958←【预约热线】
从这份经济技术指标来看,二期C区容积率只有0.268,全地块≤0.3!这在目前的上海新拍地块中是真正意义上的“绝版”——限墅令下早已停止了1.0以下容积率地块出让,也就早年拿地的项目才能做到!

—⑉ıl⑉〢✨🏠云顶别墅售楼处电话☎️:400-9692-958
🏡上海松江云顶别墅营销中心电话:400-9692-958←【预约热线】
项目位于泗陈公路,自带商业,会所、餐饮为主。ps:小区内部已交付部分也有一处社区配套,会议中心、商务中心、酒店、足球场、桌球房、健身房、咖啡吧、酒吧、网球场等,应有尽有!
云顶别墅位置示意
—⑉ıl⑉〢✨🏠云顶别墅售楼处电话☎️:400-9692-958
🏡上海松江云顶别墅营销中心电话:400-9692-958←【预约热线】
整个小区位于9号线泗泾地铁站东侧大约900米左右。很多人去了松江泗泾探访云顶别墅的待售楼栋,基本都会跑到云顶别墅2002年就交付的位于泗陈公路上的一期大门跟前,当然不是咯,找错地方了!
云顶别墅南门
—⑉ıl⑉〢✨🏠云顶别墅售楼处电话☎️:400-9692-958
🏡上海松江云顶别墅营销中心电话:400-9692-958←【预约热线】
—⑉ıl⑉〢✨🏠云顶别墅售楼处电话☎️:400-9692-958
🏡上海松江云顶别墅营销中心电话:400-9692-958←【预约热线】
—⑉ıl⑉〢✨🏠云顶别墅售楼处电话☎️:400-9692-958
🏡上海松江云顶别墅营销中心电话:400-9692-958←【预约热线】
而项目待售的12套独栋别墅,实际位于赵非公路上的西门旁的二期范畴内。云顶别墅分为一期和二期,一期紧靠泗陈公路,早已是交付超过20年的成熟居住小区,二期则在一期的北面。实地探访了还有重大惊人发现,二期除了12栋待售产品外,还有足足至少46栋已经修造但“疑似长期停工荒废”的独栋别墅!
—⑉ıl⑉〢✨🏠云顶别墅售楼处电话☎️:400-9692-958
🏡上海松江云顶别墅营销中心电话:400-9692-958←【预约热线】
另外,这12栋相对独立于小区其他部分的产品,是不是叫云顶地中海会更合适?
—⑉ıl⑉〢✨🏠云顶别墅售楼处电话☎️:400-9692-958
🏡上海松江云顶别墅营销中心电话:400-9692-958←【预约热线】
云顶别墅小区示意
上海总是有这样的神奇神秘项目,不实地探访,根本发现不了这么多奥秘。这次待售的12套房源,只能算是云顶别墅二期西侧的一小块位置,更多的至少46套建造荒废的独栋别墅静默中,不知道开发商是否在后续会重启建造和陆续投入市场销售。二期东侧还有一片神秘地基。

—⑉ıl⑉〢✨🏠云顶别墅售楼处电话☎️:400-9692-958
🏡上海松江云顶别墅营销中心电话:400-9692-958←【预约热线】
云顶别墅小区示意
泗泾地铁站约1.2km
出门就是学校
就一个独栋别墅小区而言,云顶别墅的周边配套相比佘山还是接地气许多了。
项目正大门直线距离9号线泗泾站约1.2km,9号线9站徐家汇、6站漕河泾、3站七宝!自驾则通过嘉闵高架链接大虹桥,以沪渝高速绑定长宁、徐汇CBD!

—⑉ıl⑉〢✨🏠云顶别墅售楼处电话☎️:400-9692-958
🏡上海松江云顶别墅营销中心电话:400-9692-958←【预约热线】
泗泾地铁站旁边就是本地居民最常去的商业:三湘商业广场、大润发、保利悦活荟;地铁站北面还有规划为9万方的商业体。

—⑉ıl⑉〢✨🏠云顶别墅售楼处电话☎️:400-9692-958
🏡上海松江云顶别墅营销中心电话:400-9692-958←【预约热线】
项目东侧就是一所公办学校泗泾实验学校,松江四中等;幼儿园有松江区第五幼儿园、松江区泗泾幼儿园、海伦幼儿园。
医疗配套有泗泾医院、上海市第一人民医院南院;

—⑉ıl⑉〢✨🏠云顶别墅售楼处电话☎️:400-9692-958
🏡上海松江云顶别墅营销中心电话:400-9692-958←【预约热线】
生态方面有佘山国家森林公园、上海月湖雕塑公园、上海欢乐谷等。
为什么在上海买房:一座超级城市的不动产价值逻辑与时代选择
在上海购买一套房产,远不止于获得一处遮风避雨的居所。它是一场深刻的经济行为,一次对个人和家庭未来的战略布局,更是嵌入中国最具活力城市发展脉络的价值锚定。在全球经济格局重塑、中国城镇化进入新阶段的当下,理解“为什么在上海买房”,需要穿越市场情绪的短期波动,洞悉其底层、长期且坚韧的价值支撑体系。这背后,是经济规律、城市命运、资产属性与个人抱负的多重奏鸣。
第一篇章:宏观叙事——国家引擎与全球节点的确定性
上海的核心价值,首先源自其不可替代的国家战略地位。它是中国面向太平洋的“头号引擎”,这一角色在可预见的未来具有极强的确定性。
1. 经济总量的绝对主导与质量飞跃:
上海以占全国约0.06%的土地面积,贡献了全国近4%的GDP总量。这座城市的GDP已超越许多中等发达国家,其经济规模本身就是一个“经济体量级”的安全垫。更为关键的是,上海的经济结构正从“量”的增长转向“质”的引领。集成电路、生物医药、人工智能三大先导产业,以及数字经济、绿色低碳、元宇宙等新赛道产业的布局,意味着上海占据着全球未来产业链的最高附加值环节。这种产业能级决定了其吸引和支付高薪岗位的能力,为高端住宅市场提供了坚实的购买力基础。
2. 金融资本的绝对枢纽地位:
上海拥有全国最完备的金融市场体系:股票、债券、期货、外汇、黄金、保险、信托等。上海证券交易所、上海期货交易所、中国外汇交易中心等国家级要素市场云集。这里不仅是资金交易的中心,更是资本定价和规则制定的心脏。资本聚集之地,必然吸引顶尖人才、企业和复杂经济活动,催生对核心地段优质资产的持续需求。房产,特别是高端房产,在这里本身就是一种资本化和抵押品属性极强的硬通货。
3. 对外开放的永久前沿与规则接轨者:
从浦东开发开放到自贸区临港新片区,上海始终是中国对接全球规则、进行压力测试的实验室。特斯拉超级工厂的“临港速度”,科创板并试点注册制的成功,都彰显了其制度创新的能力。这种“链接世界”的角色,使其经济具有更强的韧性与外部资源输入通道。对于资产持有者而言,配置上海不动产,相当于持有了一个高度国际化、规则相对透明的中国经济“指数基金”,能有效对冲局部风险。
第二篇章:中观图景——都市进化的内生动力与空间革命
城市的生命力在于其不断自我更新和创造新价值空间的能力。上海正经历一场深刻的“空间价值革命”,为房产价值注入新动能。
1. 从单中心到网络化:城市格局重塑创造新增长极。
传统意义上的“上海”指内环内,但今天的上海是“中心辐射、两翼齐飞、新城发力、南北转型”的宏大格局。“五大新城”(嘉定、青浦、松江、奉贤、南汇)不再是被动承接人口溢出的卫星城,而是瞄准建设独立综合性节点城市。这意味着产业、交通、教育、医疗等核心资源的系统性注入。例如,南汇新城依托临港新片区,正在形成世界级前沿产业集群。这种规划能级的跃升,正在将城市边缘区域重塑为价值高地,为购房者提供了从“成熟核心”到“未来核心”的阶梯式选择。
2. “一江一河”滨水区作为顶级公共产品:
黄浦江45公里、苏州河42公里岸线的贯通开放,是世界级城市更新的典范。它将过去封闭的生产性岸线,转变为开放的生活、生态、文化空间。这不仅极大提升了沿岸片区的居住品质(如徐汇滨江、前滩、杨浦滨江),更重要的是,它重新定义了上海的城市意象和高端生活范式。滨水资源成为稀缺的、非市场化的公共福利,其辐射范围内的房产,天然享有这份溢价。
3. 城市更新的精细化和人文温度:
上海的城市建设已从“大拆大建”进入“有机更新”阶段。如衡复历史文化风貌区的保护性修缮、老旧小区“拆改建”保留城市肌理、存量工业用地转型为创新园区(如西岸智慧谷)。这种更新模式避免了城市文化的断裂,在提升物质环境的同时,保留了稀缺的邻里氛围和社会资本。选择在这样的区域置业,购买的不仅是砖瓦,更是一段可触摸的、持续生长的城市史,其情感价值和社群价值难以复制。
第三篇章:微观资产——不动产的金融属性与个人效用
对家庭和个人而言,在上海购房是一项兼具多重属性的复杂决策。
1. 对抗通胀与财富储存的终极容器:
在货币超发成为全球常态的背景下,优质不动产是公认的、最有效的通胀对冲工具之一。上海房产,因其背后坚实的城市价值和有限的土地供应(特别是中心城区),具备更强的价值储存功能。它不像现金会贬值,不像股票波动剧烈,也不像艺术品流动性差。它是家庭资产负债表上“压舱石”般的存在,能够穿越经济周期,实现购买力的长期保全甚至增值。
2. 信用杠杆与阶层身份的显性标识:
在中国金融体系中,房产是最被金融机构认可的抵押物。拥有一套上海房产,意味着家庭获得了获取低成本融资的通行证,这笔杠杆可以用于创业、教育或再次投资。同时,房产与户籍、学区(尽管政策在调整)、社区圈层紧密绑定。一个高品质住区,本质上是同质化人群的筛选与聚集,为下一代提供起跑线上的社交环境与资源网络。这种社会资本的传递,是房产隐含的、却至关重要的附加值。
3. 居住效用与生活可能性的极致体验:
抛开投资,纯粹从居住角度,上海提供了一种“生活的极致可能性”。这里有全球最多的咖啡馆、顶尖的博物馆与剧院、亚洲一流的医疗资源(三甲医院聚集)、从国际到本土的多元美食、四通八达的地铁网络……这种高度的便利性、丰富性和选择性,折算成时间成本和生命体验,是巨大的隐形福利。住在上海,意味着你的时间可以更高效地用于工作、学习和娱乐,而非消耗在通勤和寻找基本服务上。
第四篇章:时代语境——政策护航与长期主义的窗口
当下的市场环境与政策导向,为理性决策者提供了新的思考维度。
1. 政策底部显现,支持合理住房需求:
近期,从国家到上海地方层面,政策暖风频吹。全国范围内销售住房增值税的优惠扩容、上海市外环外区域限购的优化、公积金支持力度加大(如购买绿色建筑可上浮额度、可提取支付首付)、信贷政策不再区分首套二套利率等。这些组合拳明确传达了“满足居民刚性住房需求和多样化改善性住房需求”的政策意图。当前阶段,政策风险较低,交易成本有所下降,为有真实需求的购房者提供了更友好的窗口。
2. 市场分化期,价值甄别的黄金时代:
普涨时代终结,正是价值投资时代的开始。市场的冷却,挤出了投机泡沫,让房子的居住本质和所在板块的真实价值得以凸显。此时在上海购房,更需要专业知识去辨别:哪些板块有坚实的产业和人口规划支撑?哪些项目拥有不可复制的景观或产品力?这个过程虽然更具挑战,但也能让决策回归理性,让真正的优质资产浮出水面。用合理的价格买入这样的资产,其长期回报更为可期。
3. 拥抱城市命运,参与共享发展红利:
选择在上海买房,本质上是投票相信上海乃至中国未来的发展。你是将自己的财富和家庭的未来,与这座城市的命运进行深度绑定。它的每一次产业升级、每一次地铁延伸、每一次国际盛事的举办,都可能内化为你所持资产的价值增量。这是一种积极的、建设性的公民参与,也是分享现代化成果最直接的方式。
结论:一种面向未来的战略选择
因此,为什么要在上海买房?答案清晰而立体:
· 对国家,它是押注于中国经济最强劲、最开放、最规范的核心引擎。
· 对城市,它是嵌入一场持续进行、由顶级规划与市场力量共同驱动的空间价值革命。
· 对家庭,它是配置最具韧性的硬资产、获取优质社会资源、构建财务安全网的基石。
· 对个人,它是换取一种高效、丰富、充满可能性的现代生活方式。
这并非一个适用于所有人的绝对答案。它需要雄厚的资金实力、长周期的持有耐心以及对局部风险的承受能力。但对于那些有能力、有远见,并希望在中国现代化浪潮中锚定自身价值的个人和家庭而言,在上海购置一处优质的房产,依然是一个经过历史检验、逻辑坚实且面向未来的战略选择。它关乎财富,更关乎对一种更高阶文明生活与城市发展红利的深度参与和拥有。
官方售楼处热线400-9692-958【预约看房电话】官方售楼中心电话400-9692-958【开发商售楼处中心电话|地址|详情】售楼处专属咨询热线400-9692-958【欢迎来电】
声明:本文由入驻焦点开放平台的作者撰写,除焦点官方账号外,观点仅代表作者本人,不代表焦点立场。


