联发·时光新澍官方首页网站-联发·时光新澍售楼处电话-联发·时光新澍楼盘详情-交房时间-地址-最新房价-户型图-小区环境-楼盘详情间-周边配套-售楼处电话
扫描到手机,新闻随时看
扫一扫,用手机看文章
更加方便分享给朋友
青浦联发·时光新澍售楼处热线;4009665004(开发商统一电话)青浦联发·时光新澍售楼处电话;4009665004(预约看房热线)青浦联发·时光新澍咨询热线:4009665004(享限时高额返现)青浦联发·时光新澍【400-9665-004√√√24小时预约热线】青浦联发·时光新澍售楼处电话:400-9665004一对一青浦联发·时光新澍热情服务热线:400966-5004(了解最新优惠)青浦联发·时光新澍开盘时间优惠力度交付时间300万-500万新房怎么选?青浦联发·时光新澍更多优惠楼盘详情?青浦联发·时光新澍4009665004最新现状.户型图.青浦联发·时光新澍属于什么档次?4009665004为什么便宜?青浦联发·时光新澍4009665004营销处
温馨提示:看房务必致电与销售确认时间,可获取新房特价房/工抵房,以及售楼部最新折扣优惠!
4009665004
联发青浦项目定名
「联发时光新澍」
推出建面约80-175㎡洋房&小高层
10.1开放吾悦广场展厅!
即将入市!
项目简介:青浦新城 品质新房
最新动态:预计12月入市
区域板块:青浦新城
产品介绍:建面约80-175㎡户型
轨交便捷:距离17号淀山湖大道站约750米,即达虹桥[爱心],无缝换乘2号、10号线
地面交通:青浦大道、崧泽高架、沪青平公路、G50
️商业配套:门口万达茂、东渡悦来城、吾悦广场等超百万方商圈。
周边学校:2公里以内:青浦实验小学、和平双语青浦分校、上海复旦五浦汇实验学校、兰生复旦(新房不承诺学区,具体学区划分以政府公示为准)
医疗配套:红房子医院、复旦附属中山医院、长三角智慧医院、上海市儿童医院青浦分院(待建)
配套方面,门口万达茂、东渡悦来城、吾悦广场等超百万方商圈。
青浦万达茂
项目周边教育资源丰富:2公里以内:青浦实验小学、和平双语青浦分校、上海复旦五浦汇实验学校、兰生复旦
兰生复旦效果图
平和双语
医疗配套:红房子医院、复旦附属中山医院、长三角智慧医院、上海市儿童医院青浦分院(待建)
红房子医院效果图
生态绿化:项目毗邻约15万方大型城市生态公园,南邻青浦环城水系公园。
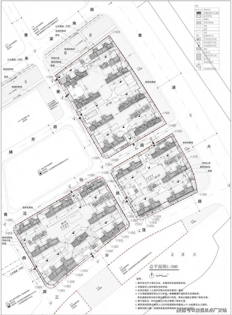
今年7月24日,联发以底价21.95万元竞得青浦区QPC10004、QPC10005 单元47-04、49-01、50-01、52-02、52-04 地块,楼面价14925元/㎡。
五幅地块均位于未来城市样板区,总出让面积7.04万㎡。其中三幅均为住宅,容积率在1.8-2.5不等;两幅是商业,容积率只有1.2。
根据规划图所知,联发&中建3局项目为三个住宅,两个商业,其中47-04、49-01、50-01为住宅项目,52-02、52-04地块为商业地块。
47-04地块拟建8栋14-17F住宅产品,49-01地块拟建8栋5-14F住宅产品,50-01地块拟建5栋6-17F住宅产品,这三个住宅地块做了局部首层架空,49-01地块配置了一个300㎡的中央花园。

7月24日,第六批次土拍首日,联发以总价219480万元竞得青浦区QPC10004、QPC10005单元47-04、49-01、50-01地块。
精算级实用主义
定义居住效率新标准
在青年居住的命题上,联发·时光新澍进行了一场新潮而深刻的“效率革命”
它跳脱出华而不实的装饰竞赛,回归居住的本质,以 “空间精算系统” 为核心理念,将每一寸空间、每一份预算、每一次日常动线都进行衡量,最终凝练成一套足以定义行业新标准的室内产品力
① 空间精算系统:让家成为一个能“持续进化”的有机体
传统的户型设计,常常将业主固化在预设的生活模板中,联发·时光新澍的创新,始于革命性的 “空间精算系统”
·「承重墙归边」与「超大实得面积」
联发·时光新澍将全系户型的主要承重墙体归置于边界,最大限度地释放了室内的灵动空间,由此诞生的 “双可变空间”
我们以135m²4+1房户型为例:

客厅与次卧、主卧与次卧之间不再有僵硬的剪力墙阻隔
这意味着,家的格局不再是开发商给定的“标准答案”,而是可以根据独居、二人世界、三代同堂等不同人生阶段自由定义的“开放题”!

在成长性之外,联发·时光新澍在室内实得空间上,也是独树一帜的!
约135㎡的4房大家这两年应该见过不少,但联发·时光新澍做了4+1房的设计,说实话小胖君的第一反应就是:空间或许会很紧凑
但事实呢?小胖看房专业建筑师对室内面积做了测算,整体看来,空间相当阔绰!
再加上,一梯一户/两梯两户设计,更是让业主拥有了一个类独立电梯厅,可以作为家的延伸空间
最重要的是价格,据爆料项目定价相当炸裂,同等总价,无论是对标周边新房还是二手次新,都是碾压级的质价比!
就以项目主力户型建面约135m²户型和建面约116m²户型为例:
在近乎相同的预算情况下,你能买到的户型和室内空间,可以说是天壤之别!
· 一步到位的进阶改善不二之选!
从目前的价格爆料来看,建面约135m²户型的预估总价与周边二手次新107-108m²的挂牌价相近,但实际居住感受和空间,截然不同!
· 刚需上车也有奢阔居住空间!
而建面约116m²户型的预估总价与周边二手次新99m²房源挂牌总价相近,但室内空间完全不是一个量级!
所以,你就理解了,为什么整个青浦、大虹桥的刚需、改善购房者都在等联发·时光新澍,这样的户型设计、室内空间和极致质价比,放眼整个青浦新房市场,没有对手!
而这还只是项目产品力的冰山一角!
② 超配装标:每一处细节,都是对生活痛点的精准打击
联发·时光新澍的装标,并非品牌的简单堆砌,而是基于深度用户洞察的超配集成
· 效率厨房:「动线钻研师」与「效率中心」
联发通过深度的用户操作试验,形成了 “取-洗-切-烹-盛”黄金动线,单程距离控制在2米以内,大幅降低劳动强度

建面约116m²样板房实拍 仅供参考
同时,集成方太净洗中心与嵌隐升降烟机,将清洗与净烟效率最大化,真正让下厨从家务负担转变为轻松享受
常规厨房平台无法利用的空间死角,在这里也被合理使用,节省出1-2㎡的收纳空间,实打实的获得了房价价值
· 悦己卫浴:「一站立式美妆」与「感官SPA」
卫浴空间围绕都市青年的“晨间效率”需求展开
一站式梳妆收纳解决方案,通过镜柜内置分区、卫浴柜斜翻抽等设计,实现一站式完成全妆,解放卧室空间

建面约116m²样板房实拍 仅供参考
配备美妆灯与抽拉龙头的 “感官SPA” 系统,则将洗漱升级为一场全方位的护理体验,于细节处兑现“悦己”承诺
· 情绪玄关:「集约化收纳」与「归家情绪角」
将玄关从单纯的换鞋处,升维为归家的“情绪缓冲地带”
通过可调节层板的百变鞋柜 与可容纳婴儿车、行李箱的变形空间,实现物归其位的秩序美学

建面约116m²样板房实拍 仅供参考
融入洞洞板的归家情绪角,则成为家庭记忆的策展墙,用个性化的小物完成从职场到家庭的场景切换
③ 区域智慧标杆:青浦唯一华为鸿蒙智家战略合作项目
在青浦的居住版图中,联发·时光新澍树立了一座真正的智慧灯塔——它是青浦在售项目中,唯一与华为开展深入战略合作,并全面接入华为鸿蒙智家生态系统的社区

建面约116m²样板房实拍 仅供参考
这并非简单的设备采购,而是一次从底层架构到生活场景的深度融合,为青年家庭带来前所未有的 “科技自由”
项目以华为全屋智能为基石,实现了从“单点智能”到“全域智慧”的跨越
项目重磅引入上海首个华为坤灵Wi-Fi 6智慧入户,实现全屋信号无死角高速覆盖,为业主打造畅快淋漓的极速网络体验
更搭载华为本地主机,数据在本地自主处理,无需上传云端,从根源上守护业主的家庭隐私安全
尤为值得一提的是,华为全屋PLC黑科技,信号通过电线传输,即使网络掉线,也可以通过手机,在户内进行设备操控,真正实现了断网不断联
· 无感通行,尊崇体验:标配的华为智能门锁,不仅具备AI人脸与指纹识别,更行业领先地搭载了掌静脉解锁技术
无论是指纹浅的孩子还是指纹磨损的长辈,挥手隔空即可安全解锁,让全家老小皆能享受无感通行的从容与尊严

建面约116m²样板房实拍 仅供参考
· 全域互联,一键掌控:通过家中的华为智能中控屏或手机上的智慧生活APP,业主可以轻松掌控全屋灯光、空调、窗帘,甚至预设“晨起”、“观影”、“会客”等多种场景模式
一句指令,或轻轻一点,家的氛围随心而变
· 生态无边,未来已来:系统深度融入华为鸿蒙生态,可无缝接入超2800个品牌、7700款智能产品
这意味着,从可控窗帘、小艺机器人,到未来的新兴智能设备,都能自由融入这个智慧家庭
更支持通过手机、甚至汽车进行一键远程互联,真正实现“人-车-家”智慧协同,让科技自由没有边界,真正实现科技智能生活!
④ 灵动定制:实现“交付即终点”的完整产品闭环
联发洞察到青年个性化需求与装修陷阱之间的矛盾,为项目引入了 “灵动定制” 服务
整合理想家体系,提供从场景包、收纳包到软装包的菜单式选择,让购房者在交付前就能以可控的成本、可靠的品质,提前锁定一个完全贴合自己审美的家,真正实现了 “交付即交家,收房即收官” ,将居住效率贯彻到最后一个环节!

建面约116m²样板房实拍 仅供参考
联发·时光新澍用产品力证明,在总价可控的范围内,你在这里能买到功能更满、面积更不浪费、装修标准更高的房子,也是功能与总价之间最均衡、最好的选择!
总结:
在大虹桥、青浦,新房的选择并不算少!
但如果您在寻找的,是一个能凭借其超级地段、超级站位、超级产品、超级配套、超级价格,在未来十年都能站稳定价权的资产,那么,您的选择只有一个
联发·时光新澍,青浦新城全新一代住宅的开篇之作
无论是刚需还是改善,等TA就对了!
联发集团成立于1983年,是《财富》世界500强企业厦门建发集团旗下核心企业;深耕上海四年六作——新天地风貌别墅、金海雲墅、时光新澍、金海汀雲台、青云上、光合臻园,构筑全系作品,与城市共生长。
联发·时光新澍位于青浦新城核芯,也是目前重点建设的"青浦新城-未来样板区"。
作为"高颜值、最江南、创新核、温暖家"城市愿景的缩影,未来样板区不仅承接成熟资源,更优先享受高能级配套的持续落地,也是青浦迈向“长三角服务枢纽”的首排主场。
项目共规划30幢住宅:其中
47-04地块建设8幢14-17层高层住宅;
49-01地块建设7幢13-14F高层和1幢5F多层
50-01地块规划建设4幢14-17层高层和1幢6F多层。
三个住宅地块均做了局部首层架空,49-01 地块配置了一个 300㎡的生境花园。
项目距离17号线淀山湖大道站约800米,约300m沪青平快速路,约1.7km(沪渝高速上口入口在建,通车后东西向交通将进一步提效),全维交通路网,高效横贯全城,帷幄繁华与流量。
教育配套:九年一贯制学校(规划中)、上海青浦兰生学校、上海青浦平和双语学校、复旦大学附属中学、思源中/小学等全龄优教近伺,书香浓荫护航下一代菁英成长(仅作距离表述,不作学区承诺)。
商业配套:约600m青浦最大商业体万达茂、东渡悦来城、吾悦广场,主流商圈汇集万般繁华,便捷都会生活。
医疗配套:复旦大学附属中山医院国家医学中心青浦新城院区(已封顶,预计2026年投入使用)、复旦大学附属中山医院青浦分院、上海市青浦区中医医院;
联发青浦项目定名
「联发时光新澍」
推出建面约80-175㎡洋房&小高层
10.1开放吾悦广场展厅!
青浦联发·时光新澍售楼处电话:4009665004【青浦联发·时光新澍开发商售楼中心热线】青浦联发·时光新澍营销中心热线400-9665-004青浦联发·时光新澍售楼处地址4009665-004,青浦联发·时光新澍售楼处电话楼盘项目全面介绍,青浦联发·时光新澍业主评论?青浦联发·时光新澍4009665004真实评价?是学区房吗?青浦联发·时光新澍都是住什么人?青浦联发·时光新澍400 966 5004发布 新 优缺点 400 9665 004利弊?青浦联发·时光新澍本电话为开发商提供线上预约售楼电话,400/966/5004楼盘项目在哪里
青浦联发·时光新澍(包含楼盘简介,青浦联发·时光新澍均价,房价,青浦联发·时光新澍现房,期房,别墅,叠墅,大平层,价格,青浦联发·时光新澍楼盘地址,青浦联发·时光新澍户型图,交通规划,备案价,备案名,青浦联发·时光新澍400 9665 004项目配套,样板间,开盘时间,认筹时间,楼盘详情,青浦联发·时光新澍售楼处电话,青浦联发·时光新澍最新消息,最新详情,400 9665 004是学区房吗?周边配套,青浦联发·时光新澍一房一价,青浦联发·时光新澍400 9665 004最新进展等详情咨询)楼盘详情丨价格丨青浦联发·时光新澍400 9665 004更多优惠丨青浦联发·时光新澍机不可失丨欢迎致电丨青浦联发·时光新澍诚邀品鉴!售楼处位置丨青浦联发·时光新澍特价房丨工抵房丨青浦联发·时光新澍剩余房源丨青浦联发·时光新澍户型图丨最新消息丨
免责声明:将文章内容综合来源于网络、只作分享,版权归原作者所有!!如有侵权,请联系我们,我们第一时间处理如有问题欢迎来电咨询,专业一对一热情服务,让您用专业眼光去买房。如果您想了解更多楼盘详情,欢迎提前预约拨打
青浦联发·时光新澍售楼处电话☎400_966_5004(开发商统一电话)✔✔✔
青浦联发·时光新澍房价-价格☎400_966_5004(售楼处认证)
房产必看!总结买房全攻略
在房产交易市场中,无论是首次置业的新手,还是准备改善住房的购房者,掌握专业的房产知识都至关重要。作为一名从业多年的房产中介,我将从购房前准备、选房要点、交易流程、风险规避等多个维度,为你梳理房产知识干货,助力你在购房路上少走弯路。
一、购房前:明确需求,做好资金规划
(一)确定购房目的
购房者需要先明确自己的购房目的。是刚需自住,为了拥有稳定的住所;还是改善居住,追求更大的空间、更好的居住环境;亦或是投资,期望房产实现保值增值。不同的购房目的,对应着不同的选房侧重点。比如刚需购房者更注重房屋的价格、交通便利性和周边基础生活配套;投资型购房者则更关注房产的区位发展潜力、租金回报率等。
(二)资金准备与预算规划
1.首付款计算:了解当地的首付比例政策,一般首套房首付比例在20%-30%左右,二套房首付比例可能会提高至40%甚至更高。计算出自己能够承担的首付款金额,例如计划购买一套总价200万的房子,若首付比例为30%,则首付款为60万。
2.贷款能力评估:向银行或金融机构咨询贷款政策,评估自己的还款能力。一般来说,银行会要求购房者的月还款额不超过其月收入的50%。可以使用贷款计算器,测算不同贷款金额、贷款年限下的月供金额,结合自身收入情况,确定合理的贷款额度和贷款年限。
3.其他费用预算:除了首付款和贷款,购房还会产生契税、维修基金、物业费、中介费(如果通过中介购房)等费用。契税根据房屋面积和购房套数不同,税率在1%-3%不等;维修基金通常按照房屋总价的一定比例缴纳。提前了解这些费用,做好资金预算,避免出现资金缺口。
二、选房:多维度考量,选出心仪好房
(一)区位选择
1.地段价值:地段是决定房产价值的关键因素之一。核心地段的房产,通常交通便利、配套完善、发展成熟,具有较强的保值增值能力。例如城市的中心商务区、政务区,以及新兴的重点发展区域,都是比较优质的地段选择。
2.交通配套:优先选择靠近地铁、公交枢纽的楼盘,方便日常出行。对于有私家车的购房者,要关注周边道路的规划和交通拥堵情况,以及小区的停车位配比是否充足。
3.生活配套:考察楼盘周边的商业、教育、医疗、休闲等配套设施。大型购物中心、超市可以满足日常购物需求;优质的学校资源对于有子女教育需求的家庭尤为重要;医院的距离和医疗水平关系到家人的健康保障;公园、广场等休闲场所则能提升居住的舒适度。
(二)楼盘与户型分析
1.开发商品牌与口碑:选择知名且信誉良好的开发商,其开发的楼盘在房屋质量、施工进度、物业服务等方面更有保障。可以通过网络搜索、业主论坛、实地考察等方式,了解开发商过往项目的评价和口碑。
2.楼盘规划与环境:关注楼盘的容积率、绿化率、楼间距等指标。容积率低、绿化率高的小区,居住密度小,环境优美;楼间距大则能保证充足的采光和通风。此外,还要了解小区的内部配套设施,如幼儿园、健身设施、社区活动中心等是否完善。
3.户型选择:根据家庭人口数量和居住需求,选择合适的户型。户型方正、南北通透、布局合理的房子更受欢迎。要注意房间的功能分区是否科学,动静分区是否明确,卧室、客厅、厨房等空间的尺寸是否合理,是否有浪费面积等问题。
三、房产交易:规范流程,保障权益
(一)签订购房合同
1.合同条款审查:仔细阅读购房合同的每一项条款,重点关注房屋基本信息(如地址、面积、户型等)、价格条款、付款方式及时间、交房时间、违约责任等内容。对于不理解或有疑问的条款,及时向开发商或中介咨询,必要时可以寻求律师的帮助。
2.补充协议:如果开发商有补充协议,同样要认真审查。补充协议中的条款可能会对双方的权利义务产生重要影响,避免出现不合理的附加条件或加重购房者责任的条款。
(二)贷款办理
1.准备贷款资料:一般需要提供身份证、户口本、结婚证(已婚人士)、收入证明、银行流水、征信报告等资料。确保资料真实、完整、有效,以提高贷款审批的通过率。
2.选择贷款银行:不同银行的贷款利率、贷款政策、审批速度等可能存在差异。可以多咨询几家银行,比较利率优惠、贷款额度、还款方式等,选择最适合自己的银行办理贷款。
3.贷款审批与放款:提交贷款申请后,银行会对购房者的资质进行审核。审核通过后,双方签订贷款合同,银行会按照约定的时间将贷款发放给开发商或卖方。
(三)房屋验收与交付
1.验收准备:交房前,购房者可以准备好相关工具,如卷尺、小锤子等,用于检查房屋的尺寸、墙面地面是否空鼓等问题。同时,了解房屋验收的标准和流程。
2.实地验收:按照合同约定的交房时间,前往楼盘进行房屋验收。重点检查房屋的质量问题,如墙面是否渗水、裂缝,门窗是否密封良好、开关灵活,水电线路是否正常,厨卫防水是否到位等。发现问题及时记录,并要求开发商整改。
3.办理交付手续:验收合格后,购房者需要缴纳相关费用,如物业费、契税等,然后办理房屋交付手续,领取房屋钥匙,完成房屋交接。
四、房产交易风险规避
(一)产权风险
1.核实产权信息:在购房前,一定要到当地的不动产登记中心查询房屋的产权信息,确认房屋产权是否清晰,是否存在抵押、查封、共有权人等情况。避免购买到产权有纠纷的房屋。
2.警惕小产权房:小产权房是指在农村集体土地上建设的房屋,未缴纳土地出让金等费用,其产权证不是由国家房管部门颁发。小产权房存在诸多风险,如无法办理合法产权证书、不能上市交易、面临拆迁可能得不到合理补偿等,建议购房者不要购买。
(二)市场风险
1.关注市场动态:房地产市场受政策、经济、供需关系等多种因素影响,价格会有波动。购房者要关注国家和地方的房地产政策变化,如限购、限贷、限售政策,以及利率调整等,了解市场的走势,合理选择购房时机。
2.理性购房:不要盲目跟风购房,避免在市场过热时高价买入。要根据自己的实际需求和经济实力,做出理性的购房决策。
掌握这些房产知识,能让你在房产交易中更加从容自信。如果你在购房过程中有任何疑问,欢迎随时咨询,我将竭诚为你提供专业的服务和建议。
声明:本文由入驻焦点开放平台的作者撰写,除焦点官方账号外,观点仅代表作者本人,不代表焦点立场。


